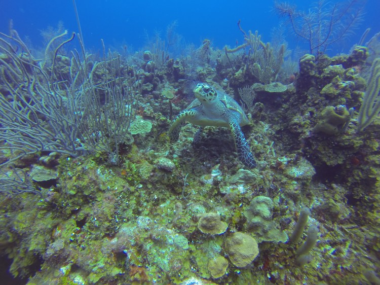
Hawksbill Turtle, South Water Caye Marine Reserve Posted byseemoreadventuresJune 25, 2016June 21, 2016Posted inUnderwater Photo BlogTags:2016, belize, diving, hawksbillturtle, hopkins, scuba, seaturtle, seemoreadventures, southwatercaye (c) Elmar Avila, Seemore Adventures #hawksbillturtle #scuba #diving #belize #hopkins #seemoreadventures #southwatercaye #2016 Share this: Share on Facebook (Opens in new window) Facebook Share on WhatsApp (Opens in new window) WhatsApp Email a link to a friend (Opens in new window) Email Like Loading...